Inicio | Intendencia Departamental de Rocha
-
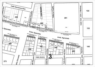
Numeración casas Avda Agraciada - Rocha
Decreto 1/23
05-04-2023 Artículo 1) La numeración tendrá su origen en el primer padrón limítrofe al arroyo de Rocha ascendiendo en dirección noreste (hacia la avenida Cnel. Julio J. Martínez).- Art. 2)- Para la fijación de números ha de considerarse los impares sobre el lado izquierdo de la avenida (sobre la acera que corresponde al Parque Zelmar Michelini, mientras que los pares se colocarán sobre la calzada derecha de la Avenida Agraciada Considerando las dimensiones prome (...)
-
Agenda de castraciones de Abril 2023
Jornadas de castraciones
28-03-2023 La División de Bienestar Animal de la IDR comunica a la población su agenda de castraciones en la ciudad de Rocha del mes de Abril para la capital departamental y el interior. (...)
-
Nuevas disposiciones
Tránsito pesado en Lascano
22-03-2023 Considerando que la circulación de tránsito pesado en la red urbana de la ciudad deteriora rápidamente el estado del pavimento, haciendo necesario proceder a su reparación antes de los tiempos normales previstos, generando mayores gastos al Gobiemo Departamental. Que el Consejo Municipal de la ciudad de Lascano se ha pronunciado en forma unánime a favor de restringir la circulación de este tipo de vehículos en la planta urbana de la ciudad, por lo que la Intendencia Departamental de Rocha dictará la resolución correspondiente a tales efectos. EL INTENDENTE DEPARTAMENTAL DE ROCHA
-
Zona de Barrio Francisco López (Las Ranas)
Se continúa trabajando intensamente en casas afectadas
16-01-2017 (...)
- Anterior
- 1
- 2
- 3
- 4
- 5
- 6
- 7
- 8
- 9
- 10
- 11
- 12
- 13
- 14
- 15
- 16
- 17
- 18
- 19
- 20
- 21
- 22
- 23
- 24
- 25
- 26
- 27
- 28
- 29
- 30
- 31
- 32
- 33
- 34
- 35
- 36
- 37
- 38
- 39
- 40
- 41
- 42
- 43
- 44
- 45
- 46
- 47
- 48
- 49
- 50
- 51
- 52
- 53
- 54
- 55
- 56
- 57
- 58
- 59
- 60
- 61
- 62
- 63
- 64
- 65
- 66
- 67
- 68
- 69
- 70
- 71
- 72
- 73
- 74
- 75
- 76
- 77
- 78
- 79
- 80
- 81
- 82
- 83
- 84
- 85
- 86
- 87
- 88
- 89
- 90
- 91
- 92
- 93
- 94
- 95
- 96
- 97
- 98
- 99
- 100
- 101
- 102
- 103
- 104
- 105
- 106
- 107
- 108
- 109
- 110
- 111
- 112
- 113
- 114
- 115
- 116
- 117
- 118
- 119
- 120
- 121
- 122
- 123
- 124
- 125
- 126
- 127
- 128
- 129
- 130
- 131
- 132
- 133
- 134
- 135
- 136
- 137
- 138
- 139
- 140
- 141
- 142
- 143
- 144
- 145
- 146
- 147
- 148
- 149
- 150
- 151
- 152
- 153
- 154
- 155
- 156
- 157
- 158
- 159
- 160
- 161
- 162
- 163
- 164
- 165
- 166
- 167
- 168
- 169
- 170
- 171
- 172
- 173
- 174
- 175
- 176
- 177
- 178
- 179
- 180
- 181
- 182
- 183
- 184
- 185
- 186
- 187
- 188
- 189
- 190
- 191
- 192
- 193
- 194
- 195
- 196
- 197
- 198
- 199
- 200
- 201
- 202
- 203
- 204
- 205
- 206
- 207
- 208
- 209
- 210
- 211
- 212
- 213
- 214
- 215
- 216
- 217
- 218
- 219
- 220
- 221
- 222
- 223
- 224
- 225
- 226
- 227
- 228
- 229
- 230
- 231
- 232
- 233
- 234
- 235
- 236
- 237
- 238
- 239
- 240
- 241
- 242
- 243
- 244
- 245
- 246
- 247
- 248
- 249
- 250
- 251
- 252
- 253
- 254
- 255
- 256
- 257
- Siguiente





